| Číslo zakázky: | 0898 | ![]() Karta nemovitosti |
|---|---|---|
| Typ zakázky: | prodej |
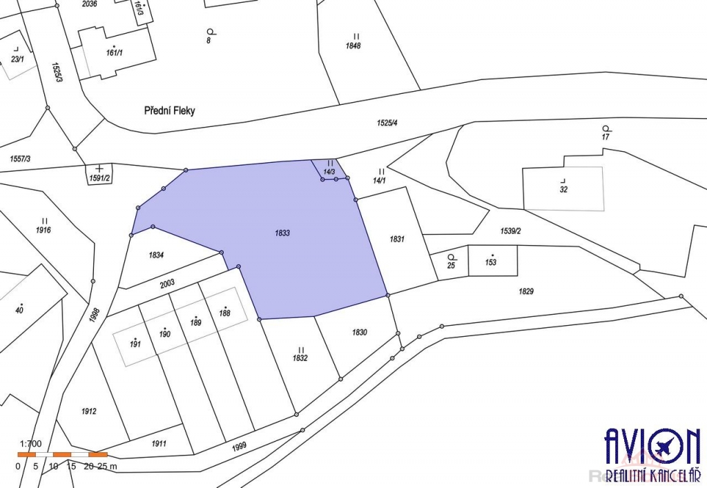
Prodej rovinatého stavebního pozemku v obci Fleky (Přední Fleky) o ploše 1978 m2, v krásné přírodě na rozhraní Šumavy a Všerubské vrchoviny.
Nabízený pozemek je slunný s otevřeným výhledem na jih. Má přibližně čtvercový tvar o délce stran přibližně 37 x 41 metrů a je srovnaný do roviny. Přístup k pozemku je z obecní komunikace.
Inženýrské sítě: elektřina (kaplička), vrt.
Mateřská a základní škola, obchod, a obecní úřad se najdete ve 4 km vzdálené obci Chudenín. Úplná občanská vybavenost se nachází v Nýrsku vzdáleném 7 km.
Krásná krajina s množstvím luk, pastvin a lesů, kde se obec nachází, nabízí velké možnosti pěších i cyklovýletů. Obcí prochází dvě cyklostezky, hranice s Německem je pouhý 1 km od obce.
| Cena: | (za m2) 860,- Kč |
|---|
| Číslo podlaží v domě | 1 |
|---|---|
| Vlastní pozemek | 1 978 m² |
| Plocha parcely | 1 978 m² |
| Druh pozemku | pro bydlení |




