| Číslo zakázky: | 26765 | ![]() Karta nemovitosti |
|---|---|---|
| Typ zakázky: | prodej |
, Na prodej v exklusivním zastoupení lukrativní stavení pozemek určený k výstavbě rekreačních staveb, chat a zahrádkářských osad. Písek, Pod Amerikou.
Pozemek je možné pořídit v různých velikostech od cca 576 m za 1500,-Kč/ m po téměř 6000 m za 1250,-Kč/ m.
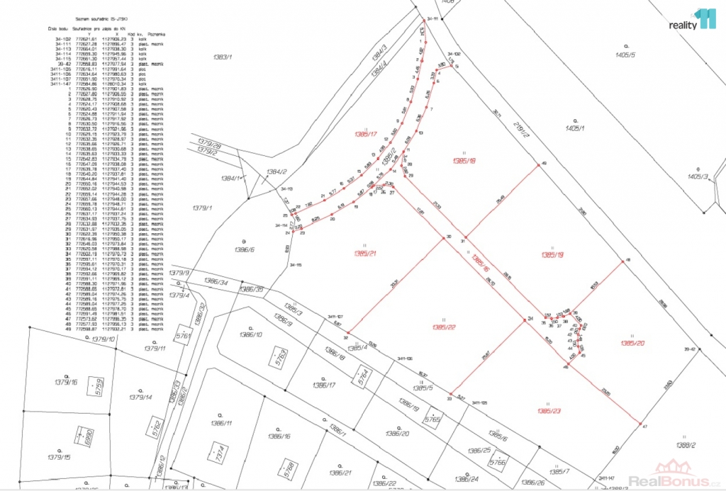
Na pozemku je vodovod, i elektrika viz obrázek inženýrských sítí.
Informace z Územního plánu:
REKREACE ZAHRÁDKÁŘSKÉ OSADY (RZ)
a) převažující účel využití -
rodinná rekreace formou zahrádek, zahrádkářských osad a kolonií, kde mohou být povolovány stavby
b) přípustné - - -
plochy zahrádek (ZPF) sloužící pro individuální zemědělskou činnost, tj. pěstování zeleniny, ovoce,
květin, okrasných rostlin apod. pouze pro vlastní potřebu
oplocení zemědělské půdy (zahrad a sadů) za účelem ochrany úrody
nezbytná dopravní a technická infrastruktura
c) podmíněně přípustné -
plochy staveb pro rodinnou rekreaci, např. chaty, rekreační a zahradní domky a další stavby
a zařízení, které souvisejí s rodinnou rekreací za podmínky, že výměra zastavěné plochy (do které se
započítávají zpevněné terasy zastřešené i nezastřešené) nepřesáhne 13 % z celkové výměry
předmětného pozemku, zároveň však maximálně 60 m, v případě pozemků o rozloze větší než
500 m je tato maximální výměra stanovena na 100 m
d) podmínky prostorového uspořádání
36/47
-
výška objektů nepřekročí 1,0 NP s výškou okapové hrany max. 3,0 m od přilehlého terénu a výškou
hřebene max. 6,0 m, jedním podzemním podlažím do hloubky max. 3,0 m - - -
navrhované objekty a zařízení dle odstavce c) mohou být v zastavitelných plochách umístěny nejblíže
25 metrů od hranice PUPFL, doplňkové stavby jako pergoly, zpevněné plochy a oplocení pak nejblíže
5 metrů od hranice PUPFL, což platí i pro pozemek p.č.1627/12 a 1624/58 v k.ú. Písek avšak s tím,
že uvedené doplňkové stavby mohou v celkovém součtu dosáhnout max. 75 m
v případě oddělení části pozemku, na kterém je již realizována nebo povolena rekreační stavba,
nebude na této nově oddělené části povolena další stavba s výjimkou oplocení a nezbytné dopravní
a technické infrastruktury a s výjimkou pozemku p.č.1716/1 v k.ú. Písek, který lze rozdělit na dva díly
s tím, že i na oddělené části bude připuštěna stavba dle odstavce c) max. 75 m
změna využití plochy Z.19 bude postupná, tj. formou postupné etapizace zástavby, a to ve směru od
ploch již využívaných stejným způsobem směrem do volné krajiny, a to min. ve třech etapách
e) nepřípustné -
všechny ostatní výše neuvedené funkce a činnosti
Rád vám v případě Vaší potřeby nabídnu také výhodné financování. Neváhejte mě kontaktovat s případnými dotazy.
Tento inzerát není závaznou nabídkou inzerenta, podmínky prodeje se mohou v jeho průběhu měnit. Ev. číslo: 26765.
| Cena: | (za m2) 1 500,- Kč |
|---|
| Vlastní pozemek | 576 m² |
|---|---|
| Umístění objektu | sídliště |
| Druh pozemku | pro bydlení |
