
| Číslo zakázky: | 27781 | ![]() Karta nemovitosti |
|---|---|---|
| Typ zakázky: | prodej |
Neplatíte provizi RK. Jednat budete přímo s majitelem nemovitosti., Reality 11 Vám zprostředkují prodej stavebního pozemku, který se nachází v obci Libeň u Libře na Praze Západ cca 2 km od Dolních Břežan.
Pozemek se nachází na krásném, slunném a rovinném místě.
V blízkosti se nachází autobusová zastávka MHD č. 341, 362.
Na pozemku je elektroměrový pilíř s přípojkou elektřiny.
K vodě a kanalizaci je vypracován schválený projekt pro připojení na veřejnou síť, která je v přilehlé komunikaci.
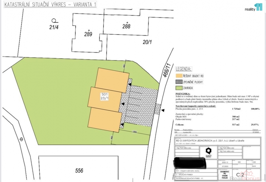
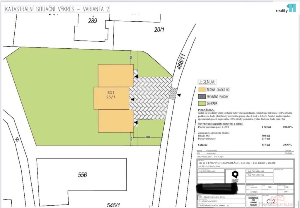
Již máme vypracovanou studii pro výstavbu rodinného domu o třech bytových jednotkách, ale je dle územního plánu možnost stavby pro bydlení v rodinných domech, možná drobná občanská vybavenost, nerušící služby, zařízení do 20-ti lůžek, nepřípustné jsou bytové domy.
Neplatíte žádnou provizi RK, jednáte přímo s majitelem.
V případě zájmu o více informací, volejte nebo pište na uvedený tel. nebo email. Ev. číslo: 27781.
| Cena: |
(za nemovitost) 9 990 000,- Kč
(Neplatíte provizi RK. Jednat budete přímo s majitelem nemovitosti.)
|
|---|
| Vlastní pozemek | 1 725 m² |
|---|---|
| Umístění objektu | klidná část obce |
| Odpad | Městská kanalizace |
| Druh pozemku | pro bydlení |




