| Číslo zakázky: | 26-06-006-P | ![]() Karta nemovitosti |
|---|---|---|
| Typ zakázky: | prodej |
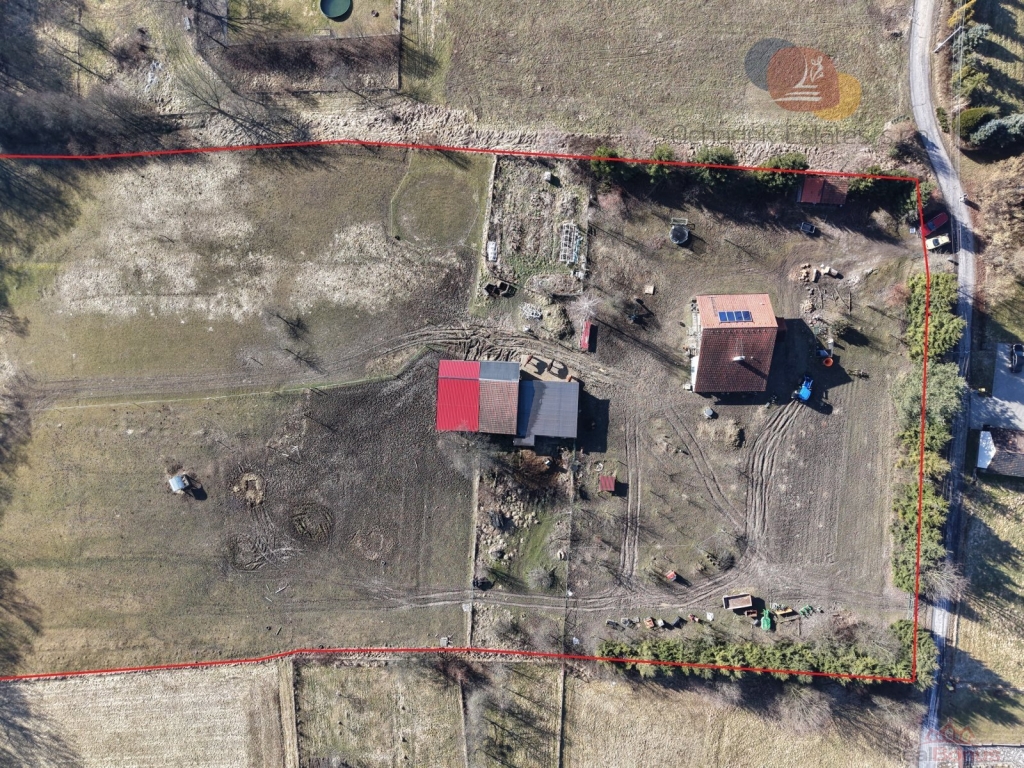
Stavební pozemek větší nežli dvě fotbalová hřiště a jako bonus jeden již skoro dokončený rodinný dům.
Soubor na sebe navazujících pozemků o celkové ploše 17842 m2, jehož součástí je rodinný dům a hospodářská budova. Většinová část pozemku spadá dle platného územního plánu do kategorie Plochy smíšené obytné, což umožňuje pozemek rozdělit na více menších častí pro stavbu rodinných domů.
Na pozemku se nachází dvoupodlažní rodinný dům o podlahové ploše cca 162 m2, jehož druhé podlaží čeká na dokončení. V prvním podlaží najdeme obývací místnost propojenou s prostornou kuchyní a samostatnou koupelnu.
Druhou stavbou na pozemku je hospodářská budova se stájemi.
Elektřina a obecní vodovod leží na hranici pozemku (zároveň je samozřejmě navedena do domu), kanalizace zde zastoupena není a musí tedy být řešena vlastní ČOV.
Chcete si vybudovat vlastní rodinnou vesnici? Nebo se rozhodnete o tento kousek země podělit s někým dalším? Není problém ... Tak jako tak nás neváhejte kontaktovat, rádi Vás zde provedeme a vše ukážeme.
Pozn. Uvedená cena je VČETNĚ zprostředkovatelského poplatku pro RK. Financování pomůžeme zajistit. Interiér domu je digitálně uklizený. Energetický štítek k domu prozatím uvádíme G.
| Cena: | (za nemovitost) 25 000 000,- Kč |
|---|
| Stav objektu | velmi dobrý |
|---|---|
| Vlastní pozemek | 17 842 m² |
| Umístění objektu | nová zástavba |
| Stáří objektu | 2 012 |
| Počet míst k parkování | 1 |
| Komunikace | asfaltová |
| Druh pozemku | pro bydlení |




