| Číslo zakázky: | 53396 | ![]() Karta nemovitosti |
|---|---|---|
| Typ zakázky: | prodej |
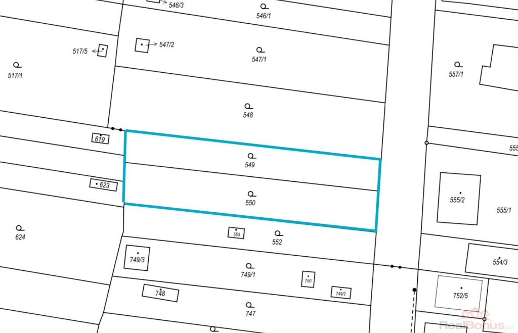
Nabízíme k prodeji výjimečný stavební pozemek o rozloze 1?845 m2, vhodný pro výstavbu rodinného domu či reprezentativní vily. Nachází se v žádané lokalitě Dolní Heršpice, pouhých pět minut jízdy od centra Brna, v klidné části s výbornou dostupností MHD. Zastávka Moravanské lány (tramvaj č. 2) je v docházkové vzdálenosti, což zajišťuje pohodlné spojení s městem.
Pozemek má uliční šíři přibližně 23 metrů a délku okolo 80 metrů. Je rovinatý, částečně oplocený, upravený a vyčištěný, bez náletových dřevin, připravený k okamžitému využití. Dle platného územního plánu se nachází v zóně čistého bydlení. Svými parametry je vhodný jak pro standardní rodinný dům, tak pro větší či vícegenerační bydlení. Zároveň může být zajímavou investiční příležitostí.
Inženýrské sítě: na pozemku je obecní vodovod včetně vodovodní šachty, v přilehlé komunikaci pak elektřina (240/400 V), dešťová kanalizace a plyn
Dolní Heršpice nabízejí velmi dobrou dopravní obslužnost i kompletní občanskou vybavenost v dojezdové vzdálenosti. Lokalita umožňuje rychlé napojení na dálnice D1, D2 a D52 a v blízkosti se nachází obchodní centra Futurum, Olympia a Avion. V okolí je dostupná mateřská i základní škola, obchody, pošta, služby, sportoviště, restaurace i zdravotní péče.
Odměna zprostředkovatele není zahrnuta v uvedené ceně.
| Cena: |
(za nemovitost) 15 990 000,- Kč
(včetně DPH, včetně poplatků, včetně provize, včetně právního servisu)
|
|---|
| Doprava | dálnice silnice MHD autobus |
|---|---|
| Voda | dálkový vodovod |
| Plyn | Zaveden |
| Plocha parcely | 1 845 m² |
| Druh pozemku | pro bydlení |
| Inženýrské sítě | Vodovod Plyn |
| Poloha objektu | samostatný |




