| Číslo zakázky: | 32145 | ![]() Karta nemovitosti |
|---|---|---|
| Typ zakázky: | prodej |
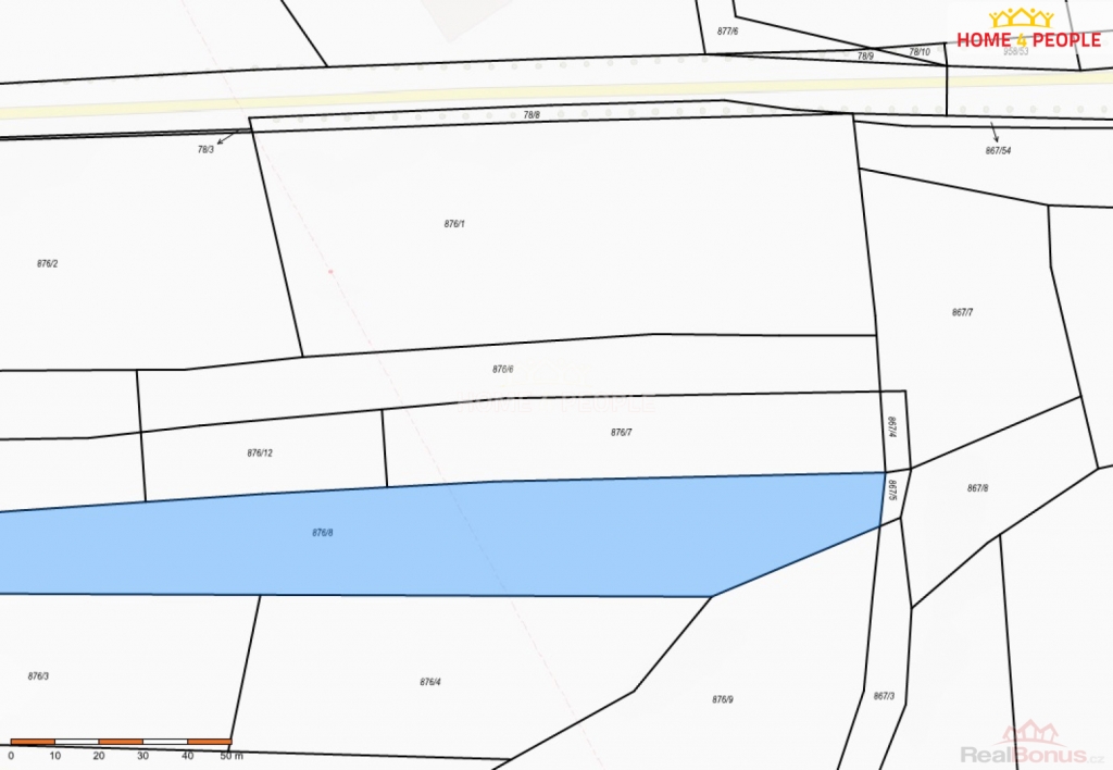
včetně provize a právního servisu., Nabízíme k prodeji pozemky parc. č. 876/8 a 876/9 v katastrálním území Velká Víska, situované v bezprostřední návaznosti na město Hořovice a rozvíjející se komerční zónu.
Dle územního plánu jsou pozemky určeny k zastavění a představují zajímavou investiční příležitost s potenciálem dalšího komerčního rozvoje. Bezprostřední sousedství nově vybudovaného Kauflandu potvrzuje rostoucí význam celé lokality a vytváří předpoklad pro budoucí rozšíření obchodních, službových či jiných podnikatelských aktivit.
Významným benefitem je rovněž blízkost technické infrastruktury, včetně vedení vysokého napětí, které může být výhodou z pohledu budoucího napojení a rozvoje komerčních projektů.
Lokalita nabízí výbornou dopravní dostupnost, viditelnou rozvojovou dynamiku a zajímavý potenciál budoucího zhodnocení.
Hlavní výhody:
- parcely č. 876/8 a 876/9
- lokalita Hořovice / Velká Víska
- dle územního plánu určeno k zastavění
- v sousedství nově vybudovaný Kaufland
- zajímavá investiční příležitost
- dobrá dostupnost a rozvojový potenciál území
Více informací, přesná výměra a podmínky prodeje na vyžádání. Ev. číslo: 32145.
| Cena: |
(za nemovitost) 40 000 000,- Kč
(včetně provize a právního servisu.) (včetně provize)
|
|---|
| Vlastní pozemek | 9 478 m² |
|---|---|
| Druh pozemku | pro komerční výstavbu |




